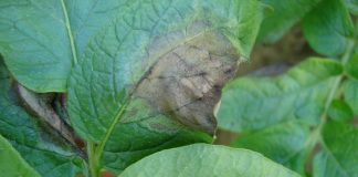
Tag: zaraz ziemniaka
Czy będzie nowy sposób na ochronę ziemniaków?
Naukowcy odkryli nowy sposób ochrony roślin przed infekcjami grzybowymi, w tym zarazą ziemniaków. Zagrożenia te można zwalczać za pomocą dostępnej w handlu substancji chemicznej,...
Uprawa ziemniaka – nowość linie kroplujące, choroby i biostymulacja w tym...
O tym jaki był ten sezon w uprawie i ochronie ziemniaków dużo mówiono podczas Potat Poland 2020 (czyt. też "Potato Poland - odmiany ziemniaka")....






